LEI Nº 13.358, DE 5 DE NOVEMBRO DE 2025.
Desafeta
bens de uso comum para integrar o rol de bens de uso especial e autoriza o Município
de Sorocaba a realocar moradores residentes em área de risco que especifica, e
a construir e doar novas unidades habitacionais e dá outras providências.
Projeto de Lei nº 752/2025 – autoria do
Executivo.
A Câmara Municipal de Sorocaba decreta e eu promulgo a seguinte
Lei:
Art.
1º Ficam desafetados do rol de bens de
uso comum, passando a integrar o rol dos bens de uso especial do Município, os
imóveis abaixo descritos e caracterizados:
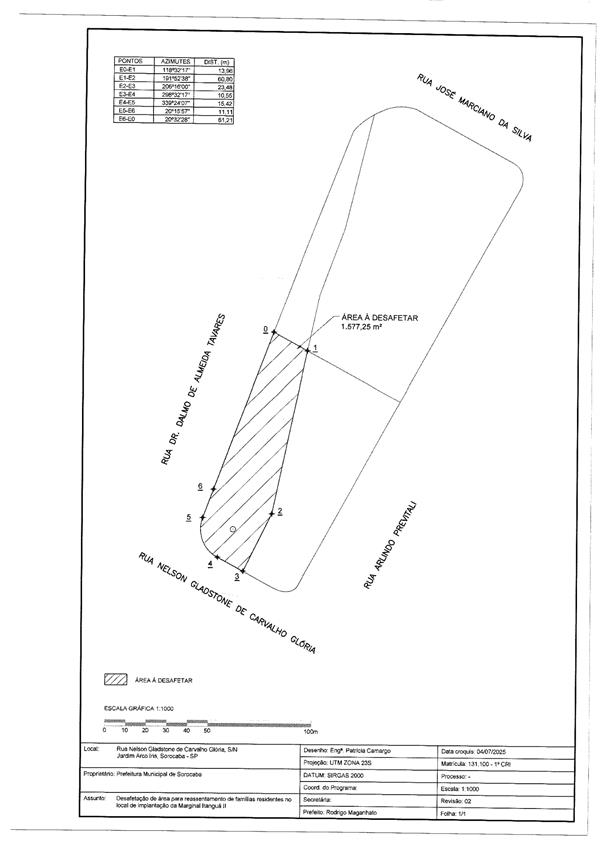
I
- área A – “um terreno situado na cidade de Sorocaba - SP, na Rua José Marciano
da Silva, no Jardim Arco Íris, em Sorocaba, com a seguinte descrição: inicia-se
esse perímetro no vértice E0, de coordenadas N=7.397.089,0569m e
E=243.689,9744m, Datum SIRGAS 2000 com Meridiano Central -45, deste segue com
azimute 118°32’17” por 13,96m até o vértice E1 de coordenadas N=7.397.082,3853
e E=243.702,2424, deste segue com azimute 191°52’38” por 60,80m até o vértice
E2 de coordenadas N=7.397.022,8916 e E=243.689,7299, deste segue com azimute
206°16’00” por 23,48m até o vértice E3 de coordenadas N=7.397.001,8401 e
N=243.679,3408, deste segue com azimute 298°32’17” por 10,55m até o vértice E4
de coordenadas N=7.397.006,8795 e E=243.670,0741, deste segue em direção ao
vértice E5 de coordenadas N=7.397.021,3157 e E=243.664,6485 e em
desenvolvimento de curva circular com 16,81m, formado por arco de raio 11,786m
e pela corda do arco em azimute 339°24’07” em uma distância 15,42m, deste segue
com azimute 20°15’57” por 11,11m até o vértice E6 de coordenadas
N=7.397.031,7360 e E=243.668,4960, deste segue com azimute 20°32’28” por 61,21m
até o vértice E0, alcançando o ponto inicial da descrição deste perímetro,
encerrando uma área de 1.577,25m²”;.
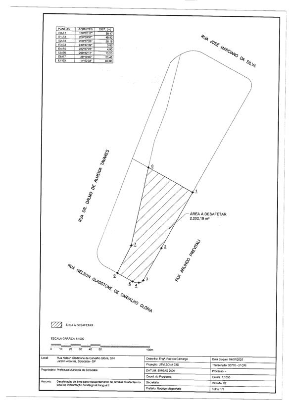
II
- área B – “um terreno situado na cidade de Sorocaba - SP, na Rua José Marciano
da Silva, no Jardim Arco Íris, em Sorocaba, com a seguinte descrição: inicia-se
esse perímetro no vértice E0, de coordenadas N=7.397.082,3853m e
E=243.702,2424m, Datum SIRGAS 2000 com Meridiano Central -45, deste segue com
azimute 118°32’17” por 38,47m até o vértice E1 de coordenadas N=7.397.064,0045
e E=243.736,0421, deste segue com azimute 208°39’37” por 48,92m até o vértice
E2 de coordenadas N=7.397.021,0810 e E=243.712,5810, deste segue com azimute
208º37’26” por 28,18m até o vértice E3 de coordenadas N=7.396.996,3410 e
E=243.699,0790, deste segue em direção ao vértice E4 de coordenadas
N=7.396.994,4720 e E=243.695,7470 em desenvolvimento de curva circular com
3,95m, formado por arco de raio 4,40m e pela corda do arco em azimute
240°42’39” em uma distância 3,82m, deste segue em direção ao vértice E5 de
coordenadas N=7.396.995,5350 e E=243.690,9350 em desenvolvimento de curva
circular com 4,99m, formado por arco de raio 8,90m e pela corda do arco em
azimute 282°27’25” em uma distância 4,93m, deste segue com azimute 298°32’17”
por 13,20m até o vértice E6 de coordenadas N=7.397.001,8401 e E=243.679,3408,
deste segue com azimute 26°10’00” por 23,48m até o vértice E7 de coordenadas
N=7.397.022,8916 e E=243.689,7299, deste segue com azimute 11°52’38” por 60,80m
até o vértice E0, alcançando o ponto inicial da descrição deste perímetro,
encerrando uma área de 2.202,19m²”.
Parágrafo
único. O Poder Executivo Municipal
poderá destinar os imóveis descritos neste artigo para fins de construção de
Unidades Habitacionais para os fins previstos nesta Lei.
Art.
2º Fica o Poder Executivo autorizado a
realizar a realocação de moradores residentes em área de risco do seguinte
perímetro:
Descrição:
“Áreas verdes e Sistemas de Lazer dos loteamentos Central Parque e Jardim Vera
Cruz II, mais especificamente junto a Rua Érico Veríssimo iniciando a Leste da
CEI 26 - Luiz Di Sanctis até o encontro da Rua Professora Guida Mares, seguindo
pela rua Professora Guida Mares em área situada entre a Avenida José Tótora e o córrego Itanguá até a
Rua Karim Jamal, desta área limite com o mesmo córrego e a Rua Roberto Dias
Baptista até a chegada na Rua Vicente do Amaral”.
Parágrafo
único. As famílias a serem realocadas
nos imóveis estabelecidos no presente artigo se encontram em área de risco
conforme laudo emitido pela Defesa Civil de Sorocaba e Mapeamento das áreas de
risco a escorregamento e inundação do Instituto Geológico.
Art.
3º Fica o Poder Executivo autorizado a
edificar e doar os imóveis edificados nas áreas descritas no artigo 1º aos
realocados do perímetro descrito no artigo anterior, previamente cadastrados
pela Secretaria da Habitação, conforme anexo I que faz parte integrante da
presente Lei.
Art.
4º Para os fins previstos nesta Lei, o
Município deverá:
I
- fornecer projeto arquitetônico padrão (planta) gratuito para a construção das
novas unidades habitacionais nas áreas descritas no artigo 1º, garantindo que
as novas habitações atendam aos padrões mínimos de habitabilidade;
II
- promover a construção de referidas unidades habitacionais;
III
- doá-las aos moradores realocados constantes do anexo I.
Parágrafo
único. A ordem de distribuição das
unidades habitacionais construídas para a realocação será definida por sorteio
ou consenso geral dos beneficiários.
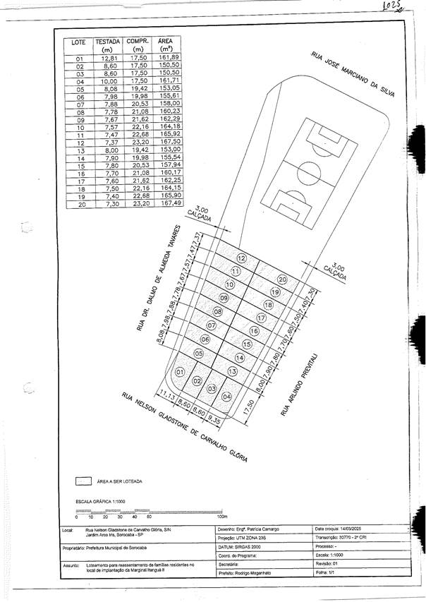
Art.
5º A localização, memorial descritivo e
individualização dos lotes estão no anexo II que faz parte integrante da
presente Lei.
Art.
6º Fica o Chefe do Poder Executivo
autorizado a outorgar a Escritura Pública dos imóveis doados aos realocados,
devendo as despesas de escrituração ser pagas pelos beneficiários.
Art.
7º Enquanto as unidades habitacionais
não forem concluídas, os moradores realocados permanecerão incluídos no
programa de auxílio moradia do Município estabelecido pela Lei nº 12.850, de 19 de julho de 2023,
independentemente de aferição de renda.
Parágrafo
único. Durante a vigência do contrato e
até a entrega das chaves da moradia definitiva, o morador realocado terá
direito ao programa de auxílio a moradia regido pela Lei nº 12.850, de 19 de julho de 2023.
Art.
8º Não fará jus a qualquer benefício da
presente Lei a família que já tenha sido contemplada em programa habitacional
de qualquer esfera e/ou que possua outro imóvel de sua propriedade, registrado
em cartório.
Art.
9º As despesas decorrentes da aplicação
da presente Lei correrão por conta de dotações orçamentárias próprias,
suplementadas se necessário, e por recursos provenientes de parcerias ou
contratos com órgãos estaduais, federais ou entidades privadas.
Art.
10. O Poder Executivo regulamentará esta
Lei, no que couber no prazo legal, estabelecendo os procedimentos operacionais
e administrativos necessários para sua implementação.
Art.
11. Esta Lei entrará em vigor na data de
sua publicação.
Palácio
dos Tropeiros “Dr. José Theodoro Mendes”, em 5 de novembro de 2025, 371º da
Fundação de Sorocaba.
RODRIGO
MAGANHATO
Prefeito
Municipal
DOUGLAS
DOMINGOS DE MORAES
Secretário
Jurídico
AMÁLIA
SAMYRA TOLEDO EGÊA
Secretária
de Governo
SERGIO
DAVID ROSUMEK BARRETO
Secretário
da Habitação e Regularização Fundiária
ANA
CLAUDIA MARTINI FAUAZ
Secretária
da Cidadania
Publicada
na Divisão de Controle de Documentos e Atos Oficiais, na data supra.
ANA
CAROLINA GOMES DOS SANTOS
Chefe
da Divisão de Controle de Documentos e Atos Oficiais
Esse texto não substitui o
publicado no DOM em 05.11.2025
ANEXO I
RELAÇÃO DAS
FAMÍLIAS A SEREM REALOCADAS.
|
1.
Elvira Garcia Xavier, CPF nº ***.070.398-**, viúva; |
|
2.
Geni Martins de Almeida, CPF nº ***.821.328-**, viúva; |
|
3.
José Firmino de Lima, CPF nº ***.091.424-**, viúvo; |
|
4.
Lázara Manoel da Silva, CPF nº ***.245.128-**, casada com Narciso
Domingues de Oliveira, CPF nº ***.883.848-**; |
|
5.
Erica Aparecida Feigor Siqueira, CPF nº
***.240.898-**, casado com Nereu Fructuoso de
Siqueira, CPF nº ***.165.508-**; |
|
6.
Neusa Benett da Rosa, CPF nº ***.374.489-**, casada com Aparecido Cezario da Rosa, CPF nº ***.765.688-**; |
|
7.
Karine Graziela da Silva Meira, CPF nº ***.436.598-**, casada com Eduardo
Rodrigues Xavier Junior, CPF nº ***.217.918-**; |
|
8.
Gisele Aparecida da Silva, CPF nº ***.414.248-**, companheira de Danilo da
Costa Rodrigues, CPF nº ***.944.988-**; |
|
9.
Beatriz Trindade Maria, CPF nº ***.653.348-**, casada com Jose Maria
Arruda, CPF nº ***.139.078-**; |
|
10.
Mariana Camili Trindade Arruda, CPF nº
***.741.908-**, casada com Murilo da Silva Padovan, CPF nº
***.274.678-**; |
|
11.
Guiomar de Fátima Arruda, RG nº **.333.893-*, CPF nº ***.370.248-**, viúva; |
|
12.
Iris Mentone, CPF nº ***.782.198-**, casada
com Rinaldo César Mentone, CPF nº
***.263.748-**; |
|
13.
Isabela de França Arruda, CPF nº ***.367.778-**; |
|
14.
Maria Cristina Alexandre da Silva, CPF nº ***.429.348-**, casada com
Luiz Carlos Gomes, CPF nº ***.049.708-**; |
|
15.
Maria Jorgina de Arruda, CPF nº ***.137.778-**, casada com José Carlos de
Arruda, CPF nº ***.279.128-**; |
|
16. Pedrina
Pereira de Queiroz,
CPF ***.884.028-**, casada com Claudinei Arruda, CPF
***.154.698-**. |
ANEXO II





JUSTIFICATIVA:
Tenho a honra de encaminhar à apreciação e
deliberação de Vossa Excelência e Nobres Pares, o presente Projeto de Lei que
autoriza o Município de Sorocaba a realocar moradores residentes em área de
risco mencionada na Lei e a construir e doar novas unidades habitacionais e dá
outras providências.
O presente Projeto de Lei tem como objetivo
garantir a segurança e o bem-estar de moradores residentes em área de risco
especifica no Município de Sorocaba. A realocação desses cidadãos, acompanhada
da doação de lotes, projetos arquitetônicos e construção de unidades
habitacionais, assegura o acesso a condições dignas de moradia.
Além disso, a inclusão no programa de aluguel
social garante um suporte financeiro durante o período de transição, protegendo
as famílias mais vulneráveis.
Assim, estaremos aplicando política pública
destinada a facilitar a atuação do Município de Sorocaba na remoção de imóveis
localizados em assentamentos irregulares em áreas de risco.
A
hipótese de realocação, como forma de política pública habitacional, é
contemplada na própria Lei de Regularização fundiária, quando em seu § 2º,
artigo 39, menciona que:
“Art. 39.
(...)
§ 2º Na Reurb-S que
envolva áreas de riscos que não comportem eliminação, correção ou
administração, os Municípios deverão proceder à realocação dos ocupantes do
núcleo urbano informal a ser regularizado.”
Ademais, a proposta tem por finalidade
induzir os ocupantes destas construções a colaborar com ações do Poder Público
com a certeza de que não serão desamparados e, principalmente, auxiliá-los a
suprir suas necessidades habitacionais em definitivo.
O Município tem o dever de intervir em
assentamentos urbanos informais de interesse social, implementando formas de
política habitacional, quando necessária à remoção de famílias, tanto em função
de obras de reurbanização como de ações emergenciais em áreas de risco para
imóveis localizados em áreas públicas ou particulares.
Vale destacar que se trata de núcleo
consolidado há muitos anos em virtude de omissão fiscalizatória do próprio
poder público e esta Lei é uma alternativa viável para a eliminação de
situações nas quais a atuação estatal é urgente e imprescindível.
Vale destacar aqui que o conceito de moradia,
vinculada ou não à propriedade, é direito social e deve constituir-se de local
digno, que deve ir além do simples refúgio, trata-se de elemento essencial para
o desenvolvimento humano, social e econômico, sendo dever do Estado assegurar
sua ocorrência.
Assim, estando plenamente justificada a
presente proposição, conto com o apoio de Vossa Excelência e dos Nobres
Vereadores para a transformação do Projeto em Lei, solicitando ainda que sua
apreciação se dê em REGIME DE URGÊNCIA, conforme estabelecido na Lei Orgânica
do Município e reiterando protestos da mais elevada estima e consideração.